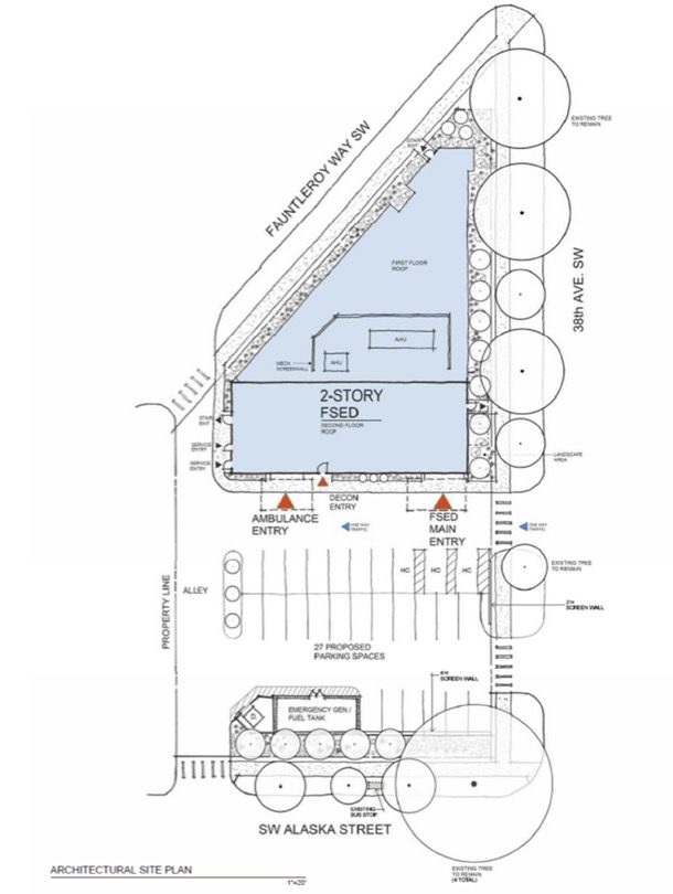
Two months ago, we first told you about an early-stage plan to replace the empty ex-clinic at 4550 Fauntleroy Way SW with a new clinic. The development firm working on the project still hasn’t disclosed which health-care organization would run it, but new documents in city files reveal more about the plan. According to this presentation document, zoning issues have forced the project team to move the location of the building on the site, which has streets on three sides (Fauntleroy Way north, 38th SW east, SW Alaska south).
Though the 12,800-sf, 24/7 facility is not proposed to be a full-fledged hospital, documents say it would offer a higher level of emergency medical services than currently available on the peninsula – here’s the overview:
The proposed project is a medical and emergency services facility intended to address a documented gap in healthcare access within the West Seattle community. This gap is due to:
Single-chokepoint geography – bridge & tunnel dependent
All existing EDs [emergency departments] require 18-38 minutes in normal traffic
~100,000 residents with no walk-to or close-drive ED option
Fastest-growing 65+ population segment – highest ED utilization
No Level I or II trauma in the peninsula – ambulance must bridge
Public transit not viable for emergency situations
According to the presentation document, they’re looking for city clarification on 10 points, including whether the facility can be exempt from required “full street-level activation” because it’s a medical facility. The current building on the site has been vacant since Virginia Mason Franciscan Health moved almost a year and a half ago.

